物件の特徴
主な設備
上水道
下水道
主な特徴
前道6m以上
即引渡可
建築条件無
★広々約66坪
★建築条件なし
★人気の角地
66坪のゆとりのある大きさで、平屋から二世帯住宅まで多彩なプランに対応可能♪
人気の角地は、駐車計画や庭の配置のでファミリーにもおすすめです!
ドラッグストアやコンビニも徒歩圏内の為、毎日のお買い物にも便利なエリアです!
不明点や土地についてのご相談など、なんでもお気軽にご相談ください(^^)
物件概要
| 価格 | 370万円 | 坪単価 | 坪5.6万円 |
|---|---|---|---|
| 物件種別 | 土地 | ||
| 所在地 | 石川県七尾市万行町 | ||
| アクセス | のと鉄道・七尾線『七尾』 徒歩34分 (約2720m) 『万行町桜台団地バス停』 徒歩7分 (約500m) |
||
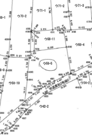
| 土地面積 | 公218.51㎡(66.09坪) | 接道 | 東側(公道)幅 約6.0m 間口 約14.00m 南西側(公道)幅 約3.0m 間口 約14.30m |
| 私道 | セットバック | ||
| 最適用途 | 住宅用地 | 造成完了時期 | |
| 地目 | 宅地 | 地勢 | |
| 権利 | 所有権 |
||
| 都市計画 | 非線引区域 |
用途地域 | 1種中高 |
| 建ぺい/容積率 | 60% / 200% | 土地国土法 | |
| 許可番号 | 建築基準法 | ||
| 法令制限 | |||
| 小学区 | 東湊小学校 徒歩14分 (約1100m) | 中学区 | 東部中学校 徒歩45分 (約3530m) |
| 現況 | 更地 | 引渡 | 即(現況渡し) |
| 建築条件 | 建築条件なし | ||
| その他費用 | |||
| 周辺環境 | ゲンキー 万行町店 徒歩10分 (約750m) ファミリーマート矢田新町 徒歩13分 (約1020m) どんたく東部店 徒歩22分 (約1730m) 食祭市場 徒歩30分 (約2360m) 七尾市役所 徒歩29分 (約2320m) 七尾駅 徒歩32分 (約2550m) ファミリーマート七尾駅前店 徒歩33分 (約2630m) ドン・キホーテ 七尾店 徒歩34分 (約2720m) どんたく ナッピィモール店 徒歩37分 (約2960m) 恵寿総合病院 徒歩38分 (約3000m) |
||
| 備考 | |||
| 物件番号 | 4656499 | 取引態様 | 専属専任媒介 |































担当エージェント:三輪 麻由
これだけの広さですと平屋住宅も、広いお庭も可能なのでそれぞれのご希望に合ったご自宅を建築できます!
ぜひお気軽にお問い合わせください♪